Refine Search

28a863 S County Drive, Waverly, VA 23890

$550,000
  • 28a863 S County Drive, Waverly, VA 23890 Main Photo

2 Total Photos [Click to View All]

Bob Shanks
Call: (804) 920-1290

Active
LOT SIZE 7.820 acres MLS#2303608
STATUSActive PROPERTY TYPELand - Residential SUBDIVISIONWaverly Place

Property Description

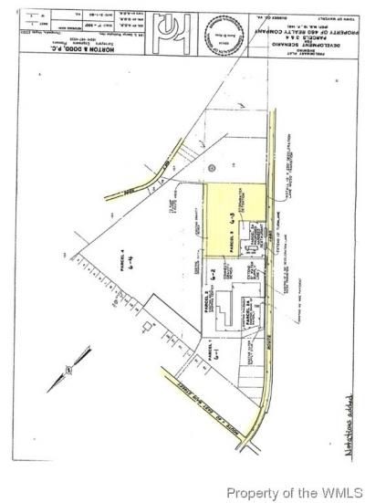
7.82 +/- acre commercial property with good frontage and visibility on Route 460 in town of Waverly, VA. Zoned B-1, General business with many permitted uses. Immediately adjacent to Hardees on RT 460.

Property Features

Property Type: Land - Residential
Lot Size: 7.82 Acres
Taxes: $2,005

Feature Descriptions

Days on Site: 841
Lot: Undeveloped, Wooded
Parcel#: 28A8 6 3
Sewer: Public Sewer
Utilities: Natural Gas Available, Electricity Available
Water: Public

Local Schools

High School: Sussex Central
Middle School: Sussex Central
Elementary School: Sussex Central

Listed By / Shown By

Listed By

Agency Name: BHHS RW Towne Realty LLC
Agency Phone: (757) 220-9500

Shown By

Agent Name: Bob Shanks
Agent Phone: (804) 920-1290
Agency Title: Napier Realtors ERA

IDX logo

Estimate Your Payment

Estimated Payment

$ 1,551.56 per month $1,224.06 Principal & Interest $167.08 Property Tax $160.42 Homeowner's Insurance

Change Payment Information

%
years/fixed
yearly
yearly (est.)
(Payments are an estimate and may vary by lender)
Movement Mortgage

Login to My Homefinder

Pixel